御西區域新建綜合醫院 初步設計方案已公示!
發布時間:2024-05-24 來源:大同市規劃和自然資源局 編輯:栗子
手機看文章
摘要:大同市御西區域將新建綜合醫院,現建設項目初步設計方案已公示,具體情況一睹為快!
建設項目初步設計方案公示
項目簡介
為了支持我市醫療事業健康發展,提升御西區域性醫療水平,同時盤活閑置商業設施,提高土地利用率。根據市政府近期工作安排,擬對華陽日月城小區22號、23號、25號樓進行改擴建,建設綜合醫院。
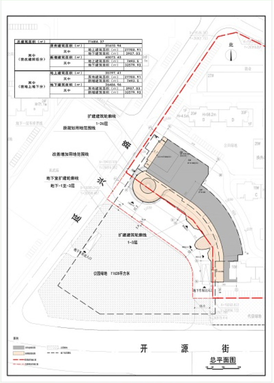
項目四至
東、北均鄰華陽日月城小區,西鄰延興路,南鄰開源街。
建筑規模
原有建筑面積約31611平方米,擬擴建建筑面積約40074平方米(其中地上擴建7494平方米,地下擴建32580平方米),床位數約600張。

平面方案設計圖
公示說明
為了加強建筑工程的監督管理,維護社會公眾利益,按照國家相關法律法規的相關規定,現對上述地塊的規劃情況予以公示,并征求利害關系人的意見。如有異議,請于公示期內及時向大同市規劃和自然資源局反映。
規劃監督電話:0352-7789831。
公示時間:2024年5月20日-2024年5月31日。
以上就是綜合醫院建設項目初步設計方案啦!御西區域新建綜合醫院,技能盤活閑置商業設施,又能提升預習區域性醫療水平,周邊居民就醫將更方便。